Pestisect Pest Control

Cockroach Control in Brapmton

Professional German cockroach elimination for Brampton homes, townhomes, and apartments using targeted gel bait — the only method proven to eliminate the full colony.

Get Free Quote

Fill out the form below and we’ll get back to you within 24 hours

Contact Form

Cockroach Species in Brampton

Types of Cockroaches Found in Brampton

Cockroaches in Brampton are not all the same — different species have different habits, hiding spots, and risks. Identifying the correct type is crucial for effective cockroach control because each species requires a targeted treatment approach.

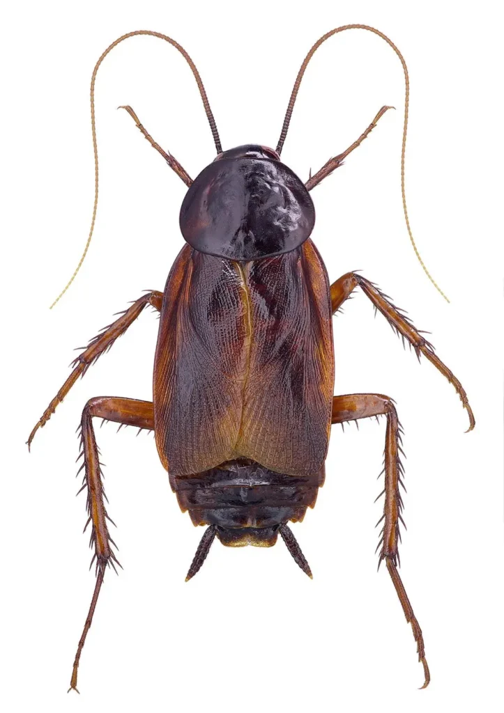
german cockroach

German Cockroach

ominant species in Brampton residential buildings. Light brown with two dark stripes behind the head. 13–16mm. Nocturnal. Found primarily in kitchens and bathrooms. Requires gel bait treatment — surface sprays scatter them and worsen infestations.
📍 Where They Are Found
american

American Cockroach

Larger reddish-brown species. More common in commercial kitchens and restaurant settings in Brampton’s Bramalea and industrial corridors.
📍 Where They Are Found
Brown-Banded Cockroach

Brown-Banded Cockroach

Often referred to as “water bugs,” these cockroaches thrive in moist, dark areas such as drains and crawl spaces. They are known for their strong odor.

📍 Where They Are Found
Oriental Cockroach

Oriental Cockroach

These cockroaches prefer dry areas and can be found in bedrooms, living rooms, and furniture. Unlike others, they don’t require much moisture.

📍 Where They Are Found
wood cockroach

Wood Cockroach

Typically found outdoors, wood cockroaches may enter homes accidentally. While less harmful indoors, they can still become a nuisance.

📍 Where They Are Found

Cockroach Control

Why Cockroaches Are a Problem in Brampton

Brampton’s high density of attached townhomes, apartment units, and multi-family dwellings creates conditions where German cockroach infestations can spread rapidly between properties. Cockroaches travel through shared plumbing chases, wall cavities, and under doorways — turning a single infested unit into a building-wide problem if untreated quickly.

German cockroaches thrive in any warm, humid space with access to food and water. They are transported into homes through grocery bags, cardboard delivery boxes, and second-hand appliances. Cleanliness does not prevent introduction — but professional treatment eliminates the infestation completely.

🦠 Health Risks

Cockroaches carry bacteria like Salmonella and E. coli, which can lead to food poisoning, diarrhea, and allergies. Their droppings and shed skins can also trigger asthma, especially in children.

🤧 Unpleasant Odor

Large infestations produce a strong, musty odor that can affect indoor air quality.

🍽️ Food Contamination

Cockroaches crawl over garbage, drains, and dirty surfaces, transferring germs to your food and kitchen areas.

Our Cockroach Treatment Process

Our Brampton Cockroach Treatment

Our cockroach control process is designed to eliminate infestations at every stage of their lifecycle. We begin with a detailed
inspection of your property to identify the species, infestation level, and key hiding areas.

Full Inspection

Every harborage area identified: behind and inside appliances, under sinks, in cabinet hinges, along pipe runs, inside electrical plates

Gel Bait Application

Professional-grade bait placed precisely at active harborage sites. Cockroaches consume the bait and carry the active ingredient back to the colony through their excrement and contact, eliminating unreachable individuals

Residual Treatment

Applied to baseboards, under appliances, and cabinet voids

Follow-Up

Mandatory return visit 2–4 weeks later to confirm elimination and re-bait if necessary

coackroaches
Discuss property management pest control if you manage multiple Brampton units.

Signs of a Cockroach

Cockroach Spread in Brampton Townhomes

For Brampton’s townhome communities, cockroach treatment in one unit is rarely sufficient without inspecting and treating the adjacent units. If a neighbour reports cockroaches, proactively treating your connected units prevents migration and re-infestation.

🍔 Food Availability

Leaving food crumbs, uncovered food, or dirty dishes provides an easy food source for cockroaches.

💧 Moisture & Leaks

Cockroaches are attracted to water sources such as leaking pipes, sinks, and damp areas.

🗑️ Poor Sanitation

Unclean spaces, overflowing garbage, and clutter create ideal breeding conditions.

🚪 Easy Entry Points

Cracks in walls, gaps in doors, and open vents allow cockroaches to enter easily.

📦 Infested Items

Cockroaches can enter your home through grocery bags, cardboard boxes, or second-hand furniture.

why trust us

Why Choose Pestisect for Cockroach Control in Brampton?

Choosing the right pest control company makes all the difference.

Fast Response
Time

Same-day or emergency services available.

Affordable
Pricing

High-quality services at competitive rates.

Experienced Professionals

Our trained experts handle all types of cockroach infestations.

Advanced
Technology

We use modern tools and eco-friendly solutions.

10+ Years

Trusted experience you can rely on

Guaranteed Results

We ensure complete customer satisfaction with long-term solutions.

Prevention Tips

Cockroach Prevention Tips

Preventing cockroaches is easier than dealing with an infestation.

🧹

Keep Your Home Clean

Regular cleaning removes food sources and hiding spots.

🗑️

Dispose of Garbage Properly

Seal trash bins and remove waste regularly.

💧

Fix
Leaks

Repair leaking pipes and eliminate standing water.

🚪

Seal Entry
Points

Use sealed garbage bins and dispose waste regularly.

📦

Inspect
Items

Check groceries and packages before bringing them inside.

Testimonial

Quality Service is Our Guarantee

“Pestisect saved our sanity. They eliminated our bed bug problem in one visit. Haven’t seen a single bug since! Highly recommended.”

Sonia K.

Downtown Toronto

“Tried DIY for months with no luck. Pestisect’s technician was professional, thorough, and explained everything. The results were immediate.”

David L.

North York

“Affordable, fast, and guaranteed. Their heat treatment worked wonders. Our home is finally bed bug-free!”

Priya M.

Etobicoke

Related Services

Cockroach control services are essential for both residential and commercial properties in Toronto.

🪲

Pest Control Brampton

🏢

Commercial Pest Control

🏡

Residential Pest Control

Frequently Asked Questions

How long does cockroach treatment take?

The duration depends on the severity of the infestation, but most treatments show results within a few days.

Yes, we use eco-friendly and government-approved products that are safe for humans and pets.

Without proper prevention, they may return. That’s why we offer follow-up services.

Frequent sightings during the day, strong odor, and multiple droppings indicate a severe problem.

Yes, we provide quick response services for urgent infestations.

pestisects_model-bottom

Get Professional Cockroach Control
in Toronto Today

Serving all Brampton neighbourhoods including Springdale, Mount Pleasant, Heart Lake, Castlemore, Bramalea, Fletcher’s Creek, and all surrounding areas.